.

FATİHTE İMAR OYUNLARI BİTMİYOR

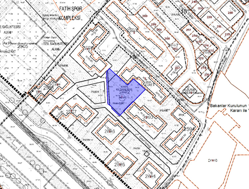
    Neslişah mahallesinde Emlak Bankası blokları olarak bildiğimiz, Mülkiyetinin tamamı vatandaşın kendisine ait olan, Kuruluşunda çağdaş şehircilik örneği olarak kendi içinde park ve çocuk oyun alanları olan bir proje içindeki yeşil alan Emlak bankası tarafından TOKİ'ye devredilmiş, TOKİ burayı bir şahsa vermiş?, Bu şahıs bir vakfa hibe etmiş, Vakıf şimdi bu alanda yurt yapmak istiyor.

     Ne kadar şaibeli, Ne kadar dolambaçlı bir yol gerçekten başım döndü.  Burası komplike bir proje, inşaat alanı içinde kalan yollar ve yeşil alanlar, Çocuk ve araç parkları siteye ait olması gerekirken Emlak bankası burayı ayrı bir parselmiş gibi tapuya tescil ettirmiş, 4 yıl önce TOKİ'ye devredilmiş, Toki burayı bir şahsa satmış, şahıs şimdi bir vakfa bağışlamış, Alan 40 yıl sonra yurt yapılmak gerekçesi ile Fatih belediyesi tarafından imar ve inşaat izni verilmiş.

     Mülk sahibi vatandaşlarımız devletine güvenen, Tapu konusunda hiçbir kontrolleri yapmaya dahi ihtiyaç hissetmeyen kendinden emin kişiler.
     Yeni 1/1000'lik imar planlarına bile bakmayı düşünen olmamış, Parklarının imara açılmış olduğunu gören olmamış ve itirazda bulunan olmamış ve burası hakkında yapılan yeni düzenleme hukuken yürürlüğe girdikten sonra haberdar oluyorlar.
     Şimdi bütün site şokta, 40 yıldır kullandıkları parkları ellerinden alındığını öğreniyorlar ve sitenin ortasına bir öğrenci yurdu dikiliyor.
     Buradaki vatandaşlarımızın ruh halini düşünebiliyor, Geçmiş olsun diyorum. Bu ülkede ne kadar kaldığı sorgulansa bile hala hukuk kurallarının geçerli olduğuna inanıyor, acilen tapu iptal davası açmalarını öneriyoruz.
      Böyle projelerde proje alanı tamamen daire sahiplerine ait olması gerekiyor, Buradan daire alanlar yeşil alanları ile birlikte bu daireleri satın almışlar. Şimdi kırk yıl sonra ortaya çıkan oyuna bakın, akıl alacak gibi değil.
      Biz böyle uygulamalara alıştık, yazıp çiziyoruz, olmadı savcılığa, bakanlığa ihbarda bulunuyoruz, netice aldığımız söylenemez çünkü ihbarlarımız sonucu gerek savcılık gerekse bakanlık yetkilileri ihbarlarımızı incelemeye almasına rağmen uygulamayı durdurmadığı için yapılan hukusuz işlemler devam ediyor. ve Yapılan yıkılmıyor. Bir basit para cezası ile işin içinden çıkıldığını görüyoruz/duyuyoruz.

 

Merhaba, Sayın Basın Kuruluşu (fatihhaber) Yetkilisi
Vatan Caddesi Emlak Blokları ortasındaki parkımız belediyenin ve Marmara Eğitim ve Kültür Vakfı'nın oyunları ile 5 katlı imara açılmıştır ve yurt yapılmak istenmektedir.
Bu amaçla bir toplantı düzenlemeyi planlıyoruz. Toplantı günü kesinleşmemekle birlikte Pazar gününe yetiştirmeye çalışıyoruz.
Ekte duyuru metni ve parkın hava fotoğrafı ile imar planı var.  İlgilenmenizi rica ederiz. Saygılarımızla

SİZLERİ PARKIMIZA SAHİP ÇIKMAYA ÇAĞIRIYORUZ

Sayın Emlak Bankası Blokları Sakinleri,

Kurulduğundan bugüne kadar Çocuk Parkı ve yegâne yeşil alanımız olan bloklarımızın ortasında bulunan alan Fatih Belediyesi ve Fatih Tapu Müdürlüğü’nde yaptığımız araştırmalarda Emlak Kredi Bankası tarafından TOKİ’ye devredildiği; TOKİ tarafından Mehmet Fatih Ağgül isminde bir şahsa verildiği; 2010 yılında da bu şahıs tarafından Marmara Eğitim ve Kültür Vakfı’na hibe edildiği; bu işlemlerden sonra geçmiş imar planlarında park olan bu alan 2012 yılında Fatih Belediyesi tarafından yapılan imar planı değişikliği ile 5 katlı Sosyal ve Kültürel Tesis Alanı’na dönüştürüldüğü tespit edilmiştir.

40 yıldır sitemiz ve mahallemizin çocuk parkı ve yeşil alanı olan bahçemiz elimizden alınarak yerine 5 katlı bir inşaat
yapılması planlanmaktadır.

Tek nefes alanımız olan parkımızın yerine yapılacak inşaatı engellemek ve daha güzel bir park yapılmasını sağlamak üzere acilen yapılacak girişim ve hukuki faaliyetleri görüşmek ve tartışmak üzere bütün site sakinleri ile toplantı yapılacaktır.
Bütün site sakinlerinin geleceğini etkileyecek olan bu çok önemli toplantıya katılmanızı rica ederiz.

TOPLANTI TARİHİ VE SAATİ:
TOPLANTI YERİ:
İRTİBAT: 0533 433 32 72 – 0532 411 58 10



PARK EYLEM PLANI

Belediye ile temas / Belediye Başkanı, Yardımcısı ve İmar Müdürü ile Görüşmeler / Plan tadilatı yapılarak mahallemize güzel bir park yapılması talebi
Vakıf ile temas / Vakıf Başkanı ve Yöneticileri ile Görüşmeler
Mimarlar Odası ve Şehir Plancıları Odası ile Temaslar / Sürecin anlatılması ve hukuki destek talebi
Sürecin irdelenmesi / Geçmiş İmar Planları, Site Projesi, Tapu Kayıtları’nın elde edilmesi
Dava dosyalarının hazırlanması
Plan İtiraz Davası
Tapu İptal Davası
Kampanya Başlatılması
Mahallelilerin ve parka gelenlerin bilgilendirilmesi
Parkta ve mahallede imza toplanması
Parkta şenlikler yapılması
Parkta, Belediye ve Vakıf önünde eylem yapılması
Sosyal Medyada kampanyalar ve mail zincirlerinin oluşturulması
Basının bütün süreçten haberdar edilerek şenlik ve eylemlere davet edilmesi
Dava giderleri, broşür-poster baskı masrafları ve karşılaşılabilecek diğer masraflar için maddi çözümler üretilmesi




T.C. FATİH BELEDİYE BAŞKANLIĞI 2012 FAALİYET RAPORU OYLAMASINDA SİTE YEŞİL ALANI
BAŞBAKAN KONUŞUYOR, ŞİKAYET EDİYOR AMA, SİTEMİZİN YEŞİL ALAN YOK EDİLİYOR
FATİH EMLAK KREDİ  BLOKLARINDA İSTİŞARE TOPLANTISI YAPILDI
SİZLERİ PARKIMIZA SAHİP ÇIKMAYA ÇAĞIRIYORUZ
FATİHTE İMAR OYUNLARI BİTMİYOR 40 YIL SONRA YEŞİL ALANIMIZ YOK EDİLMİŞ
CHP FATİH MECLİS GURUBUNDAN ZİYARET

 

 

YORUMLAR:--------------------------------------------------------------------------------

Haber, Yorum, Resim göndermek için İrtibat: fatihten@gmail.com